長葉紫珠
|
學名:Callicarpa kochiana Makino 科屬: 馬鞭草科(Verbenaceae)紫珠屬(Callicarpa) 母語:Kodeti傀儡(魯凱) 用途:受傷,將葉烤軟後貼於患部 |
| 花多數,紫色,開放時徑 0.2~0.3 公分,呈腋生密花的聚繖花序;花序細長,長可達 1~3.5 公分,具分歧;花柄長 0.1~0.2 公分;苞片 4 枚,線形,長 0.4~0.45 公分;花萼管狀,深 4 裂;裂片狹三角形,長約 0.15~0.2 公分,密被長毛;花冠漏斗形,長約 0.4~0.45 公分,先端有裂片 4 枚;裂片先端圓鈍;雄蕊 4 枚,長 0.8~0.9 公分;雌蕊與雄蕊長短略相等。 |
|
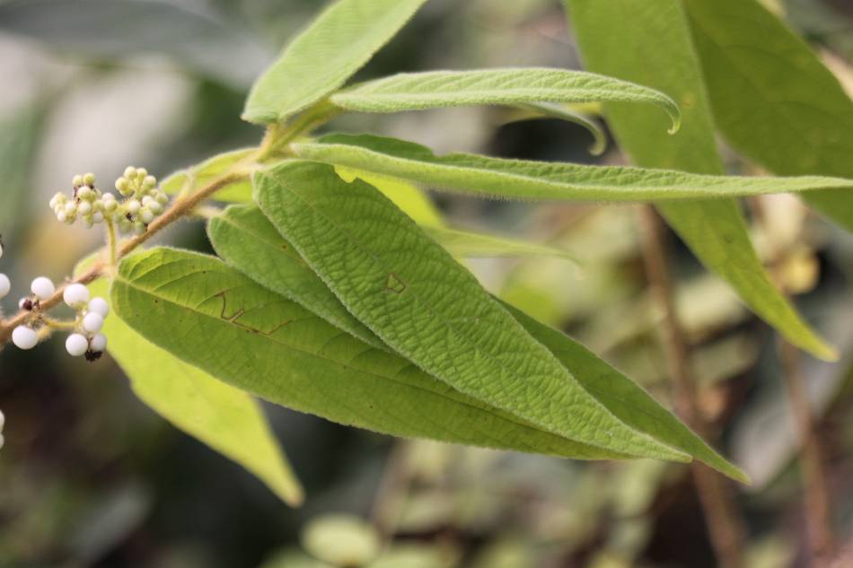
| 果實為漿果,球形,約 0.3 公分,成熟時白色,表面平滑,內藏種子 4 枚。 | |
| 葉為單葉對生,線狀披針形至狹長橢圓,有時呈倒披針形,長 15~27 公分,寬 6~8 公分,先端尾狀銳尖,基部狹或楔形,細鋸齒緣,膜質;表面呈有光澤綠色,背面淡綠色,表裏兩面皆密被星狀軟毛;中肋於表面凹下而於背面隆起,側脈每邊 13~17 枚,略細緻;葉柄長 1.5~3 公分,有毛茸。 |
| 特徵:灌木或小喬木,高可達 5 公尺,全株被星狀軟毛,具多數分枝;枝條直立或斜上昇,圓柱形,綠色。 |


